Pomiechówek, Wymysły, Limonkowa

Parcel for sale

Property description

Property description

Offer no. GS-103431
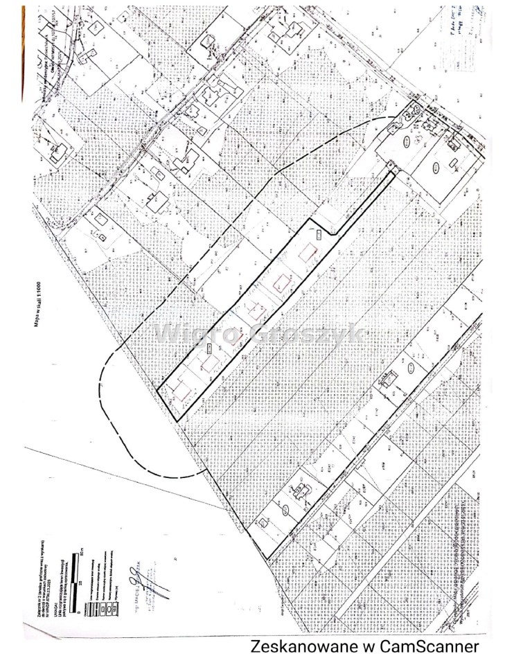
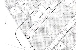
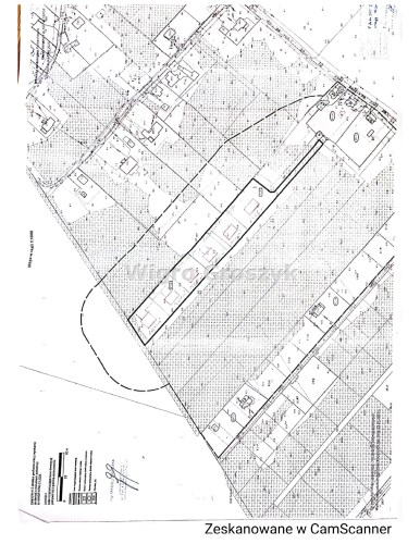
Size 1 000,00 m²
Parcel utility building plot
Lot dimensions 30x30 m
Legal status property
Palcel`s development undevelopped
Parcel surface flat
Shape of parcel square
Gas no
Water in the street
Access asphalt
Surrounding undeveloped land
Distance to shuttle service [m] 1 000 m
Distance to shop 1 000 m
Location Rural
Current in the street

Location

Credit calculator

PLN
%
Amount of installment

Cost calculator

PLN
PLN
PLN
PLN
PLN
PLN
%
PLN
Civilian-law commission
Notary commission
Notarial commission VAT
Real-estate register department application
VAT of application for WKW
Real estate agency commission
Real estate agency commission VAT
Extracts of a notarial deed - approx
TOTAL (price+ commissions)

Similar offers

parcel for sale - Pomiechówek, Wymysły

parcel for sale

Pomiechówek, Wymysły
  1 000,00 m2 100,00 zł/m2
parcel for sale - Pomiechówek, Wymysły

parcel for sale

Pomiechówek, Wymysły
  1 000,00 m2 100,00 zł/m2

Contact us

Please fill in this field
Please fill in this field
Please fill in this field
Please fill in this field
Sending...

We use cookies to improve your experience on our website. By browsing this website, you agree to our use of cookies.

accept